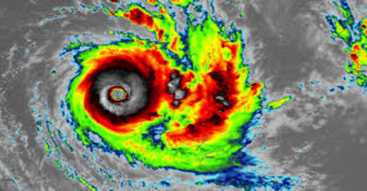
আগামী সপ্তাহে আঘাত হানতে পারে ঘূর্ণিঝড় ‘আসানি’
বঙ্গোপসাগরে সৃষ্ট লঘুচাপটি ঘূর্ণিঝড়ে পরিণত হয়ে আগামী সপ্তাহে বাংলাদেশের উপকূল অতিক্রম করতে পারে।
বাংলাদেশ আবহাওয়া অধিদপ্তর ও আবহাওয়া বিশেষজ্ঞরা এ কথা জানিয়েছেন। লঘুচাপটি সুস্পষ্ট লঘুচাপ, নিম্নচাপ, গভীর নিম্নচাপ এবং শেষে ঘূর্ণিঝড়ে পরিণত হতে পারে। ঘূর্ণিঝড়ে পরিণত হলে এর নাম হবে ‘আসানি’। নামটি শ্রীলঙ্কার দেওয়া।
আগামী ২২ মার্চ দিবাগত মধ্যরাত থেকে ২৩ মার্চ দুপুরের মধ্যে ঘূর্ণিঝড়টি বাংলাদেশের চট্টগ্রাম ও কক্সবাজার এবং মিয়ানমারের উপকূল অতিক্রম করতে পারে।
কানাডার সাসকাচুয়ান ইউনিভার্সিটির আবহাওয়া ও জলবায়ুবিষয়ক বাংলাদেশি পিএইচডি গবেষক মোস্তফা কামাল পলাশ বলেন, ‘মার্চ মাসের ২১ তারিখে বঙ্গোপসাগরে একটি ঘূর্ণিঝড় সৃষ্টি হচ্ছে, যা সম্বন্ধে আবহাওয়া পূর্বাভাস মডেলগুলো প্রায় শতভাগ নিশ্চিত। এ ঘূর্ণিঝড়টি হবে বঙ্গোপসাগরের ঘূর্ণিঝড়ের ইতিহাসে মার্চ মাসে সৃষ্টি হওয়ার প্রথম ঘূর্ণিঝড়।’
তিনি বলেন, ‘১৫ ডিগ্রি উত্তর অক্ষাংশের উত্তর দিকে বিশেষ করে বাংলাদেশ ও মিয়ানমার উপকূলে আঘাত হানা প্রথম ঘূর্ণিঝড় হবে এটি। ঘূর্ণিঝড়টি বাংলাদেশের চট্টগ্রাম ও কক্সবাজার জেলার উপকূল দিয়ে স্থলভাগে প্রবেশ করবে, এ বিষয়ে ৭০ থেকে ৮০ ভাগ নিশ্চিত আবহাওয়া পূর্বাভাস মডেলগুলো। বাংলাদেশের উপকূলে আঘাত হানার সম্ভাব্য সময় ২২ মার্চ দিবাগত মধ্যরাত থেকে ২৩ মার্চ দুপুর পর্যন্ত।’
ঘূর্ণিঝড়টি স্থলভাগে আঘাত হানার সময় বাতাসের সর্বোচ্চ গতিবেগ ঘণ্টায় ৮০ থেকে ১০০ কিলোমিটার পর্যন্ত হতে পারে বলেও জানান এ আবহাওয়া বিশেষজ্ঞ।
মোস্তফা কামাল পলাশ আরও বলেন, ‘এ ঘূর্ণিঝড়টি কক্সবাজারের রোহিঙ্গা শরণার্থী ক্যাম্পের ওপর দিয়ে অতিক্রম করার সম্ভাবনা সবচেয়ে বেশি। ফলে ব্যাপক বৃষ্টির কারণে বন্যা ও ভূমিধসেরও প্রবল ঝুঁকি রয়েছে।’
বাংলাদেশ আবহাওয়া অধিদপ্তরের আবহওয়াবিদ মো. শাহীনুল ইসলাম বলেন, ‘বঙ্গোপসাগরে সৃষ্ট সিস্টেমটি (লঘুচাপ) আমরা পর্যবেক্ষণে রেখেছি। এটি আরও ঘণীভূত হতে পারে। এর বিষয়ে সুনির্দিষ্ট করে বলতে আরও সময় লাগবে। এখনো অনেক দূরে।’
তবে এটি বাংলাদেশ-মিয়ানমারের উপকূল অতিক্রমের সম্ভাবনা আছে বলে জানিয়েছেন এ আবহাওয়াবিদ।
শাহীনুল ইসলাম বলেন, ‘আপাতত বৃষ্টির কোনো সম্ভাবনা নেই। দিনের তাপমাত্রা আরও কিছুটা বাড়তে পারে।’
আবহাওয়া অধিদপ্তর জানিয়েছে, ঢাকা, ফরিদপুর, রাজশাহী, পাবনা, বরিশাল, পটুয়াখালী, রাঙ্গামাটি, চাঁদপুর ও সিলেট জেলাসহ খুলনা বিভাগের ওপর দিয়ে মৃদু তাপপ্রবাহ বয়ে যাচ্ছে এবং তা অব্যাহত থাকতে পারে। বৃহস্পতিবার সকাল ৯টা থেকে আগামী ২৪ ঘণ্টায় সারাদেশে দিনের তাপমাত্রা সামান্য বাড়তে পারে এবং রাতের তাপমাত্রা প্রায় অপরিবর্তিত থাকতে পারে।
বৃহস্পতিবার সকালে দেশের সর্বনিম্ন তাপমাত্রা ১৭ দশমিক ২ ডিগ্রি সেলসিয়াস ছিলো শ্রীমঙ্গলে। বুধবার দেশের সর্বোচ্চ তাপমাত্রা ৩৭ দশমিক ৭ ডিগ্রি সেলসিয়াস ছিলো রাজশাহীতে। ঢাকায় সর্বোচ্চ তাপমাত্রা ছিলো ৩৬ দশমিক ৪ ডিগ্রি সেলসিয়াস।
দৈনিক চাঁদনী বাজার / সাজ্জাদ হোসাইন
